



$192,000
| Pricing | |
| Asking Price | $1,388,000 |
| Price per Floor SqFt | $1,388 |
| Taxes & Fees |
| Property Taxes | $5,835 (2025) |
| Home Details |
| Floor Area | 1,000 sqft |
| Age | Old Timer |
| Land |
| Land Size | 0.09 ac (3,750 sqft) |
| Land Frontage | 25 ft |
| Land Dimensions | 25 x 150 ft |
| Price per Land SqFt | $370.13 |
| Dates & Market |
| Previously Sold Date | 2021-May-02 |
| Previously Sold Price | $1,137,500 |
| Ask Price:Sold Price Change | +$250,500 (+22.0%) |
| Property Info |
| Property Type | Other |
| Style of House | Other |
| Bedrooms | 0 |
| Bathrooms | - |
| Ownership Interest | Freehold NonStrata |
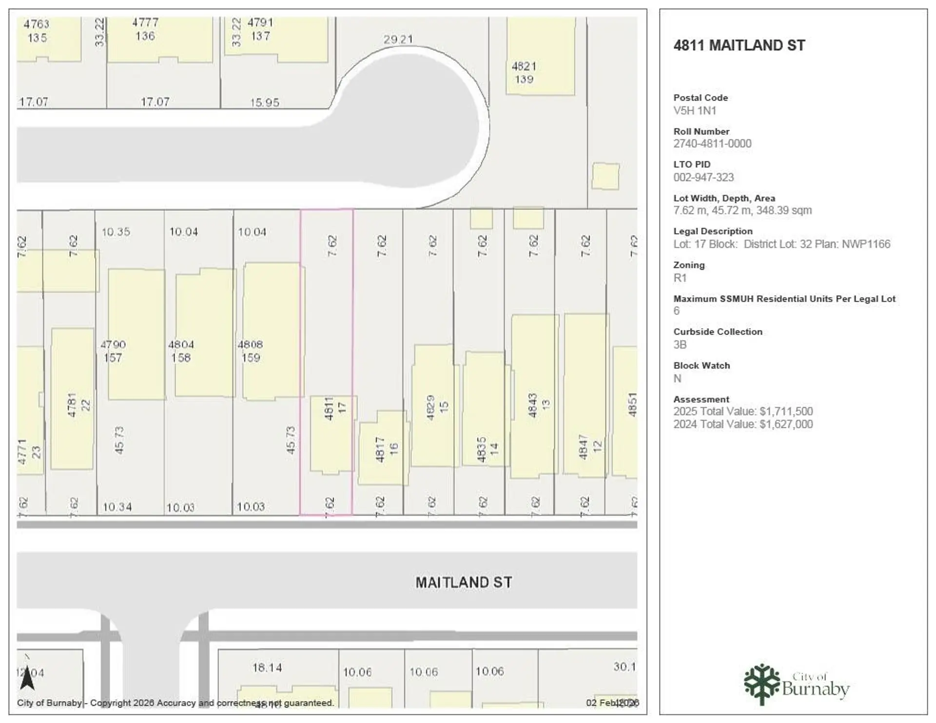
| PID | 002-947-323 |
| Agents |
| Seller's Agent | RE/MAX Crest Realty |
Login to view more details
Sign in| More Details | |
| Additional Info | |
| Hidden Field | |
| Private Data | |
Login to view Room Information
Sign inWe'll connect you with a local agent to show you this home. All Zealty agents go through a strict selection process, and none pay to work with us.
Login to view Price History
Sign inAssessment and tax information is not available for this property.
Mortgage Calculator
The displayed rates are provided as guidance only, are not guaranteed, and are not to be considered an approval of credit. Approval will be based solely on your personal situation. You are encouraged to speak with a Mortgage Professional for the most accurate information and to determine your eligibility.
Advertising Disclosure: Mortgage services are provided by independent third-party advisors. Zealty.ca is a real estate portal and does not arrange mortgages or provide financial advice. The advisors listed here pay a flat marketing fee for advertisement space. Users are encouraged to conduct their own due diligence.
Market Statistics
| All Active | This Property | |
|---|---|---|
| All Residential | 1,250 | – |
| Median Asking Price | $875,000 | $1,388,000 |
| Median Price per SqFt | $650 | $1,388 |
| Median Days on Market | 28 | – |
Login to view Market Overview
Sign inWith Trusted Burnaby South Agents
No school information is available for this area.
We couldn't find any similar active properties.
Login to view similar Sold properties
Sign in
123 Mock Street
| Sold Price: | $850,000 |
| Sold Date: | - |
| Maint. Fee: | - |
| Bedrooms: | 3 |
| Bathrooms: | 2.5 |
| Floor Area: | 1,850 sqft |
| Price / SqFt: | - |
| Age: | - |
| Land Size: | - |
| Days on Market: | 26 |
| MLS® Number: | 12345678 |
| Distance: | - |

456 Example Avenue
| Sold Price: | $920,000 |
| Sold Date: | - |
| Maint. Fee: | - |
| Bedrooms: | 4 |
| Bathrooms: | 3 |
| Floor Area: | 2,100 sqft |
| Price / SqFt: | - |
| Age: | - |
| Land Size: | - |
| Days on Market: | 31 |
| MLS® Number: | 23456789 |
| Distance: | - |

789 Demo Road
| Sold Price: | $780,000 |
| Sold Date: | - |
| Maint. Fee: | - |
| Bedrooms: | 2 |
| Bathrooms: | 2 |
| Floor Area: | 1,650 sqft |
| Price / SqFt: | - |
| Age: | - |
| Land Size: | - |
| Days on Market: | 21 |
| MLS® Number: | 34567890 |
| Distance: | - |